1
Arquitetura Bichos cachoeira Caverna cidade Estrada história Lago Mergulho Montanha Parque Patagônia Praia trilha vulcão
Alaska Anguila Antártida Antígua E Barbuda Argentina Aruba Bahamas Barbados Belize Bermuda Bolívia Bonaire Brasil Canadá Chile Colômbia Costa Rica Cuba Curaçao Dominica El Salvador Equador Estados Unidos Falkland Galápagos Geórgia Do Sul Granada Groelândia Guadalupe Guatemala Guiana Guiana Francesa Haiti Hawaii Honduras Ilha De Pascoa Ilhas Caiman Ilhas Virgens Americanas Ilhas Virgens Britânicas Islândia Jamaica Martinica México Montserrat Nicarágua Panamá Paraguai Peru Porto Rico República Dominicana Saba Saint Barth Saint Kitts E Neves Saint Martin San Eustatius Santa Lúcia São Vicente E Granadinas Sint Maarten Suriname Trinidad e Tobago Turks e Caicos Uruguai Venezuela
Karina (27/09)
Olá, também estou buscando o contato do barqueiro Tatu para uma viagem ...
ozcarfranco (30/08)
hola estimado, muy lindas fotos de sus recuerdos de viaje. yo como muchos...
Flávia (14/07)
Você conseguiu entrar na Guiana? Onde continua essa história?...
Martha Aulete (27/06)
Precisamos disso: belezas! Cultura genuína é de que se precisa. Não d...
Caio Monticelli (11/06)
Ótimo texto! Nos permite uma visão um pouco mais panorâmica a respeito...
Admirado com o lincrível pôr-do-sol em Kralendijk, em Bonaire
A ilha de Bonaire, ao contrário de Aruba e Curaçao que já são semi-independentes, ainda está completamente ligada à Holanda. É como uma província. Mas a moeda oficial e corrente é o dólar. A língua formal é o holandes, mas as pessoas falam mais o papiamento, um pouco mais "cantado" que em Aruba. Inglês também é entendido em todos os lugares, assim como o espanhol, em boa parte deles.
Mapa de Bonaire, mostrando todos os pontos de mergulho ao longo da costa
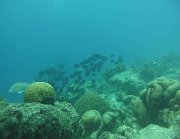
A ilha é considerada um paraíso para os mergulhadores. Não tanto pela beleza subaquática, que é bonita mas não espetacular, mas pela facilidade de se praticar essa atividade. São dezenas de pontos de mergulho ao redor da ilha, quase todos eles com acesso diretamente da praia. Basta nadar um pouco para atravessar a parte rasa e chegar aos recifes, onde a profundidade abaixa para trinta metros em média, numa descida suave. O forte da vida subaquática são os corais e bichos pequenos, incluindo aí muitos peixes coloridos. Arraias, tartarugas e tubarões são vistos de vez em quando, mas não são assíduos frequentadores. A temperatura da água é muito agradável, por volta dos 30 graus, e nem é preciso roupa para mergulhar (também não há águas-viva!). Luvas são proibidas!
Sala-cozinha do nosso studio em Kralendijk, em Bonaire
Como os pontos são todos próximos da praia, aqui não precisamos de barco e sim de carro para se chegar até as praias. A exceção é a ilhota de Klein Bonaire, para onde só se vai de barco. Mas, com tantos outros pontos na ilha principal, nem é preciso ir até lá, para quem fica poucos dias. E assim, como não precisamos de barco, também não precisamos de guia! Isso faz de Bonaire o lugar de mergulhos mais baratos que já conheci. Por 130 dólares, eu e a Ana vamos mergulhar 6 vezes! Muito barato! Não estou somando aí o preço do aluguel do carro, que sai por uns 40 dólares diários, mais combustível.
Preparado para nosso primeiro mergulho em Kralendijk, em Bonaire. É só atravessar a rua...
Todos os pontos de mergulho ao redor da ilha estão devidamente sinalizados por pedras amarelas ao longo da estrada que margeia toda a costa de Bonaire. Sempre tem algum lugar para estacionar, deixamos o carro destrancado (sem nada de valor dentro!), escondemos a chave no mato e mergulhamos. Simples assim! A carteira e documentos ficam em casa. Aparentemente, a polícia não liga para isso (estarmos sem documentos). Aliás, não vimos polícia em lugar nenhum da ilha.
O primeiro mergulho em Bonaire, quase no centro de Kralendijk
Um enorme pneu em mergulho em Kralendijk, em Bonaire
Muitos hotéis já tem o esquema dos tanques de ar. É só passar no drive-thru e pegar os seus (e deixar os usados). Para os hotéis que não tem essa facilidade, as lojas de mergulho tem. Passamos lá, pegamos tanques cheios e deixamos os vazios. Não tarda 2 minutos. E aí, estamos livres para ir mergulhar em qualquer lugar da ilha, a hora que quisermos. Não é à tôa, então, o apelido de "Divers Paradise"!
àgua bem limpa em mergulho em em Kralendijk, em Bonaire
Uma anêmona, no nosso primeiro mergulho em Bonaire, quase no centro da capital Kralendijk,
No nosso primeiro mergulho, nem de carro precisamos! Simplesmente saímos do hotel, caminhamos 30 metros e já estávamos dentro d'água. Ontem eu tinha feito snorkel no mesmo lugar, com meu computador para medir as profundidades. Incrível como água limpa nos engana! Sem perceber, já estava indo a 20 metros de profundidade! Pena que a nossa professora de apnéia e recordista sulamericana de mergulho profundo não estava aqui para me acompanhar e ajudar a bater meu recorde. Muito mais fácil aqui do que na pedreira escura lá de Sorocaba...
Banho de mar no pôr-do-sol em Kralendijk, em Bonaire
Agora devidamente equipados, ficamos uma hora lá embaixo, visibilidade de mais de 20 metros, observando peixes e corais coloridos. Sentimento de completa tranquilidade, completamente zens. Diferente de Galápagos, quando estávamos sempre prontos a perseguir como loucos algum tubarão-baleia. Aqui, de certa forma, estamos mais próximos da essência do mergulho.
Maravilhoso pôr-do-sol em Kralendijk, em Bonaire
Depois do mergulho, já meio da tarde, fomos pegar nossa S-10. Com ela vamos a todos os cantos dessa ilha, às praias e também ao interior, onde há um belo parque para ser explorado (nem só de mergulhos vive a ilha!). E, finalmente, no final do dia,uma surpresa: um dos mais bonitos pores-do-sol (é assim?) de toda a viagem. Céu completamente dourado sobre o mar azul. Inesquecível! Quem vê as fotos, até parece montagem, que estamos em frente a algum outdoor ou quadro. Não! É verdade mesmo! Assim foi nosso entardecer!. Um ótimo agouro do que nos espera nos próximos dias, aqui no paraíso dos mergulhadores!
Parece um quadro, mas é o maravilhoso pôr-do-sol em Kralendijk, em Bonaire
Olá!
Estou doida para conhecer Bonaire e o seu relato só fez aumentar minha viagem!
Resposta:
Olá Deise
Que legal que vc tenha gostado!!!
Se vc gosta de mergulhar, é o lugar certo para ir! Se gosta de tranquilidade, tb!
Um abraço
Fotos lindas!
Agora, mergulhar 20m sem perceber é só para quem tem tímpanos que colaboram na equalização - longe de ser meu caso... Sorte sua!
Resposta:
Estamos melhorando nas nossas fotos subaquáticas!
Equalização, só mexendo o maxilar. Assim é que tem de ser!
Bjs
Caraca Poul, que por de Sol maravilhoso!!!! abraco
Resposta:
Fala Rous!
Pois é, esse sol estava mesmo fueda! Parecia um outdoor, mas foi assim mesmo! Sem photoshop (não temos tempo para isso, hehehe)
Abraços para a queridíssima família!
Blog da Ana
Blog da Rodrigo
Vídeos
Esportes
Soy Loco
A Viagem
Parceiros
Contato
2012. Todos os direitos reservados. Layout por Binworks. Desenvolvimento e manutenção do site por Race Internet
.jpg)
.jpg)
.jpg)
.jpg)
.jpg)
.jpg)
.jpg)
.jpg)
.jpg)
.jpg)
.jpg)